En Vivo
8 de octubre 2025 - 21:41

Tormenta tropical Priscilla en México en vivo: trayectoria en directo y novedades minuto por minuto

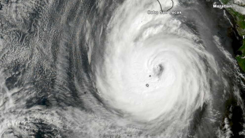
La vista área del huracán Priscilla.

La vista área del huracán Priscilla.

Por Meteored

La Comisión Nacional del Agua, confirmó que Priscilla se degradó a tormenta tropical pero su cercanía a las costas de México provoca afectaciones en varios estados.

El huracán Priscilla se degradó a tormenta tropical y avanza frente a las costa oeste de México,según detalla el monitoreo realizado por la Comisión Nacional del Agua (Conagua) generando diversas consecuencias climáticas en diferentes estados de México. Se dirige hacia Baja California Sur.

Las bandas nubosas y amplia circulación de Priscilla, mantendrán lluvias fuertes a puntuales intensas, fuertes rachas de viento y oleaje elevado en el noroeste y occidente del país. A continuación, checa la trayectoria en vivo y las últimas novedades, como reportes oficiales y actualizaciones de último minuto.

Embed

Live Blog Post

Trayectoria actualizada de Priscilla

image

Live Blog Post

Priscilla mantiene desplazamiento paralelo sobre las costas de Baja California Sur

La tormenta tropical Priscilla mantiene la trayectoria paralela a las costas de Baja California Sur. A las 15:00 horas, tiempo del centro de México, su centro se localizó a 335 kilómetros (km) al oeste-suroeste de Cabo San Lucas, Baja California Sur, con vientos máximos sostenidos de 110 kilómetros por hora (km/h), rachas de 140 km/h y desplazamiento hacia el noroeste a 13 km/h.

Durante las próximas horas, los desprendimientos nubosos del sistema originarán lluvias muy fuertes (de 50 a 75 milímetros [mm]) y viento de 40 a 50 km/h con rachas de 60 a 80 km/h en el sur de Baja California Sur; intervalos de chubascos (de 5 a 25 mm) y viento de 20 a 30 km/h con rachas de 40 a 60 km/h en costas de Sinaloa y Nayarit, así como oleaje de 5 a 6 metros (m) de altura en la costa occidental y sur de Baja California Sur; de 2.5 a 3.5 m en costas de Sinaloa, Nayarit y Jalisco, y de 1.5 a 2.5 m en costas de Colima.

Sigue vigente la zona de vigilancia por efectos de tormenta tropical desde Cabo San Lucas hasta Cabo San Lázaro, en Baja California Sur.

image
Live Blog Post

Afectaciones causadas por tormenta tropical Priscilla

Precipitación acumulada de las 08:00 horas del miércoles 08 a las 08 horas del jueves 09 de octubre. Lluvias puntuales muy fuertes (50 a 75 mm) en Baja California Sur (sur), así como lluvias e intervalos de chubascos (5 a 25 mm) en Sinaloa y Nayarit. Las lluvias muy fuertes podrían estar acompañadas con descargas eléctricas. Dichas lluvias reducirán la visibilidad en tramos carreteros y zonas urbanas; asimismo, podrían generar encharcamientos, deslaves, deslizamientos, inundaciones y el incremento en los niveles de ríos y arroyos.

Live Blog Post

Priscilla se degrada a tormenta tropical

La tormenta tropical Priscilla se desplaza paralelamente a la costa occidental de Baja California Sur. Sus bandas nubosas y amplia circulación ocasionarán chubascos con lluvias puntuales muy fuertes, fuertes rachas de viento y oleaje elevado en Baja California Sur y el occidente del territorio nacional.

Live Blog Post

Sigue la alerta en BCS por el huracán Priscilla en categoría 1

El huracán Priscilla de categoría 1 se desplazará de forma paralela a la costa occidental de Baja California Sur, informa el SMN. Sus bandas nubosas y amplia circulación ocasionarán chubascos con lluvias puntuales muy fuertes, fuertes rachas de viento y oleaje elevado en Baja California Sur y el occidente del territorio nacional.

PRISCILLA TRAYECTORIA BCS
Live Blog Post

Huracán Priscilla se debilita a categoría 1

Priscilla se halla ahora como un huracán de categoría 1 al suroeste de la península de Baja California. "Sus bandas nubosas y amplia circulación ocasionarán chubascos y lluvias puntuales muy fuertes, fuertes rachas de viento y oleaje elevado en el occidente y noroeste del país", informa el SMN.

PRISCILLA CATEGORIA 1 TRAYECTORIA
Live Blog Post

Pronóstico del huracán Priscilla hoy, 8 de octubre 2025

"Priscilla se mantiene como un huracán de categoría 2 al suroeste de la península de Baja California. Sus bandas nubosas y amplia circulación ocasionarán chubascos y lluvias puntuales muy fuertes, fuertes rachas de viento y oleaje elevado en el occidente y noroeste del país", informa este miércoles el SMN.

HURACAN PRISCILLA CENTRO
Live Blog Post

Vientos intensos y oleaje elevados

Se prevé viento de 60 a 70 km/h con rachas de 80 a 100 km/h y oleaje de 5.5 a 6.5 metros de altura en costas de Baja California Sur (sur), viento de 30 a 40 km/h con rachas de 50 a 70 km/h y oleaje de 3 a 4 metros en costas de Sinaloa, Nayarit y Jalisco, así como viento de 10 a 25 km/h con rachas de 30 a 50 km/h y oleaje de 2 a 3 metros de altura en costas de Colima.

Live Blog Post

Lluvias previstas para este miércoles 8 octubre

Lluvias puntuales intensas (75 a 150 mm) en Baja California Sur (sur), Sinaloa (centro y sur) y Nayarit (norte y centro), y lluvias puntuales fuertes (25 a 50 mm) en Jalisco y Colima. Todas las lluvias pronosticadas podrían estar acompañadas con descargas eléctricas. Dichas lluvias reducirán la visibilidad en tramos carreteros y zonas urbanas; asimismo, podrían generar encharcamientos, deslaves, deslizamientos, inundaciones y el incremento en los niveles de ríos y arroyos.

Live Blog Post

Cuándo y a qué hora tocará tierra en México

image

Live Blog Post

Afectaciones por Priscilla

Durante esta noche y madrugada del miércoles, la circulación y bandas nubosas del huracán Priscilla, ocasionarán lluvias puntuales intensas en Baja California Sur (sur), Sinaloa (centro y sur) y Nayarit (norte y centro), así como lluvias puntuales fuertes en Jalisco y Colima; además de rachas de viento de 80 a 100 km/h y oleaje de 5.5 a 6.5 metros de altura en las costas de Baja California Sur (sur); viento con rachas de 50 a 70 km/h y oleaje de 3.0 a 4.0 metros de altura en las costas de Sinaloa, Nayarit y Jalisco

Live Blog Post

Trayectoria actualizada de Priscilla

image

Live Blog Post

Oleaje elevado por huracán Priscilla: VIDEO

Embed - https://publish.x.com/oembed?url=https://x.com/conagua_clima/status/1975633221695279607&partner=&hide_thread=false

Live Blog Post

Vuelos cancelados por el huracán Priscilla

  • Vuelo 703 de la aerolínea Señor Air con destino a Mazatlán, Sin., con horario de las 1400 hs.
  • Vuelo 704 de la aerolínea Señor Air procedente de Mazatlán, Sin., con horario de las 1620 hs.
  • Vuelo 701 de la aerolínea Señor Air con destino a Los Mochis, Sin., con horario de las 1710 hs.
  • Vuelo 702 de la aerolínea Señor Air procedente de Los Mochis, Sin., con horario de las 1920 hs.
Live Blog Post

Puertos cerrados por el huracán Priscilla

  • Baja California Sur: Cabo San Lucas
  • Baja California Sur: La Paz, Los Barriles, Cabo San Lucas, San José del Cabo, San Carlos y Bahía Magdalena
  • Sinaloa: Topolobampo.
  • Nayarit: San Blas y Chacala
  • Jalisco: Barra de Navidad
  • Colima: Manzanillo
Live Blog Post

Medidas preventivas en Los Cabos, Baja California Sur

La Secretaría de Salud de Baja California Sur, durante la sesión estatal de protección civil, se informó la suspensión total de la venta de alimentos en puestos semifijos y en la vía pública en el municipio de Los Cabos, debido a la presencia del huracán Priscilla.

Live Blog Post

Precaución por oleajes elevados

image
Live Blog Post

SEP: qué escuelas suspenden sus clases

“La Secretaría de Educación Pública informa qué, por indicación del Consejo Estatal de Protección Civil, se suspenden las labores escolares en los municipios de Los Cabos y La Paz el martes 7 de octubre en los planteles públicos y privados de todos los niveles educativos como medida preventiva por las lluvias que ocasiona el avance del huracán Priscilla”, informa la SEP.

Live Blog Post

Huracán Priscilla: reporte actualizado de lluvias

  • Lluvias puntuales intensas (75 a 150 mm) en Baja California Sur (sur), Sinaloa (centro y sur) y Nayarit (norte y centro)
  • Lluvias puntuales fuertes (25 a 50 mm) en Jalisco y Colima.

Todas las lluvias pronosticadas podrían estar acompañadas con descargas eléctricas. Reducirán la visibilidad en tramos carreteros y zonas urbanas; asimismo, podrían generar encharcamientos, deslaves, deslizamientos, inundaciones y el incremento en los niveles de ríos y arroyos.

Live Blog Post

SMN: reporte actualizado del huracán Priscilla

La circulación del huracán Priscilla de categoría 2 en la escala Saffir-Simpson, mantendrán lluvias fuertes a puntuales intensas, fuertes rachas de viento y oleaje elevado en el occidente del país, así como en Sinaloa y Baja California Sur, informa el SMN en su reporte más reciente.

PRISCILLA CATEGORIA 2
Live Blog Post

Huracán Priscilla como categoría 2: esta es la trayectoria actualizada

TRAYECTORIA PRISCILLA

Live Blog Post

Priscilla ya es huracán categoría 2

Priscilla se ha intensificado a huracán de categoría 2 en la escala Saffir-Simpson, su amplia circulación mantendrán lluvias muy fuertes a puntuales intensas, fuertes rachas de viento y oleaje elevado en el occidente del país, además de Sinaloa y Baja California Sur.

Live Blog Post

Trayectoria actualizada de Priscilla

image

Live Blog Post

Refuerzan zona de vigilancia

Se mantiene zona de vigilancia por efectos de tormenta tropical desde Manzanillo, Col., hasta Punta Mita, Nay., y desde Cabo San Lucas hasta Santa Fe, B.C.S.

Live Blog Post

Afectaciones por Priscilla: lluvias, vientos y oleajes elevados

Durante las próximas horas, los desprendimientos nubosos de Priscilla, huracán categoría 1 en la escala Saffir-Simpson, originarán lluvias intensas (de 75 a 150 milímetros [mm]) en Colima y en el este y la costa de Jalisco; muy fuertes (de 50 a 75 mm) en Baja California Sur, el sur de Sinaloa, Nayarit, la costa de Michoacán y el suroeste de Guerrero, así como fuertes (de 25 a 50 mm) en el sur de Baja California Sur.

Además, se pronostican vientos sostenidos de 60 a 70 kilómetros por hora (km/h) con rachas de 80 a 100 km/h en Jalisco y Colima; de 30 a 40 km/h con rachas de 50 a 70 km/h en el sur de Baja California Sur y costas de Michoacán, y de 10 a 25 km/h con rachas de 40 a 50 km/h en costas de Nayarit y el sur de Sinaloa.

Asimismo, se prevé oleaje de 5 a 6 metros (m) de altura en costas de Jalisco y Colima, de 3 a 4 m en costas de Michoacán y de 2 a 3 m en las costas del sur de Baja California Sur, Nayarit y el sur de Sinaloa.

Live Blog Post

Lluvias puntuales por Priscilla

Las bandas nubosas y amplia circulación de Priscilla, mantendrán lluvias muy fuertes a puntuales intensas, fuertes rachas de viento y oleaje elevado en el occidente mexicano, condiciones que comenzarán a propagarse hacia Baja California Sur y Sinaloa.

Live Blog Post

Trayectoria actualizada del huracán Priscilla

image
Live Blog Post

Trayectoria actualizada del huracán Priscilla

TRAYECTORIA PRISCILLA
Live Blog Post

SMN: reporte actualizado del huracán Priscilla

La extensa circulación y bandas nubosas de Priscilla, mantendrán lluvias muy fuertes a puntuales intensas, fuertes rachas de viento y oleaje elevado en el occidente del país, propagándose hacia Baja California Sur, Nayarit y Sinaloa, informa el SMN en su más reciente reporte.

HURACÁN PRISCILLA
Live Blog Post

En dónde se mantiene la zona de vigilancia por el huracán Priscilla

Se mantiene zona de vigilancia por efectos de vientos de tormenta tropical desde Punta San Telmo, Michoacán, hasta Punta Mita, Nayarit.

Live Blog Post

Ubicación exacta del huracán Priscilla

Según el último reporte del SMN, el huracán Priscilla se halla a 390 kilómetros al sur-suroeste de Cabo Corrientes, Jalisco, y a 675 kilómetros al sur-sureste de Cabo San Lucas, Baja California Sur.

Live Blog Post

Huracán Priscilla: alerta por viento y oleaje en varios estados

Se prevé viento de 50 a 60 km/h con rachas de 70 a 90 km/h y oleaje de 5.0 a 6.0 metros de altura en costas de Jalisco y Colima; viento de 30 a 40 km/h con rachas de 50 a 70 km/h y oleaje de 3.0 a 4.0 metros de altura en costas de Michoacán; así como viento de 10 a 25 km/h con rachas de 40 a 50 km/h y oleaje de 1.5 a 2.5 metros de altura en costas de Baja California Sur. Además, se prevé oleaje de 2.0 a 3.0 metros de altura en costas de Guerrero.

Live Blog Post

Huracán Priscilla llega a las costas de Jalisco: cámara en directo en Puerto Vallarta

Embed - #Vallarta | Las lluvias empezaron en las playas #envivo
Live Blog Post

El pronóstico de lluvias, viento y oleaje por el paso del huracán Priscilla

Según el SMN, el huracán Priscilla generará: lluvias puntuales intensas (75 a 150 mm) en Michoacán (costa y este), Jalisco (sur), Colima y Guerrero (costa y suroeste); lluvias puntuales muy fuertes (50 a 75 mm) en Nayarit, así como lluvias puntuales fuertes (25 a 50 mm) en Baja California Sur (sur). Todas las lluvias pronosticadas podrían estar acompañadas con descargas eléctricas.

Dichas lluvias reducirán la visibilidad en tramos carreteros y zonas urbanas; asimismo, podrían generar encharcamientos, deslaves, inundaciones y el incremento en los niveles de ríos y arroyos.

HURACAN PRISCILLA CENTRO
Live Blog Post

Huracán Priscilla: la trayectoria pronosticada

TRAYECTORIA PRISCILLA

Dejá tu comentario

Te puede interesar