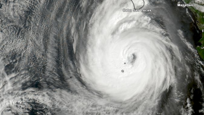
El Servicio Meteorológico Nacional (SMN), dependiente de la Comisión Nacional del Agua (Conagua), informó que la temporada de huracanes 2025 sigue activa tanto en el Océano Pacífico como en el Atlántico, pero el final está cerca. Si bien se esperan por más fenómenos, en poco más de un mes cesarán todas las alertas.
22 de octubre 2025 - 16:11
Este será el último día de la temporada de huracanes 2025: cuándo finalizan las alertas por ciclones tropicales
Tanto en el Pacífico como en el Atlántico atraviesan la etapa final de la temporada, aunque aún se esperan por más fenómenos.
-
Tormenta Negra llega a 4 estados de México hoy, viernes 24 de octubre 2025: en qué entidades habrá lluvias muy fuertes con granizo
-
Estado del tiempo en Hermosillo, Sonora hoy, 24 de octubre 2025: calor con nubosidad variable y posibilidad de lluvias aisladas
La temporada de huracanes 2025, cerca de su final.
Según el organismo, el último día de la temporada de ciclones tropicales será el 30 de noviembre en ambos océanos. Luego, durante aproximadamente seis meses, no se formarán estos fenómenos y habrá tranquilidad en los pueblos costeros.
Durante esta temporada, se pronostica la formación de entre 29 y 37 sistemas ciclónicos, lo que representa una actividad dentro del rango habitual, aunque hay algunos fenómenos que alcanzaron gran intensidad.
Temporada de huracanes 2025: el listado de ciclones que ya se formaron y los que restan
- Temas
- Clima



Dejá tu comentario