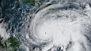
La isla de Jamaica se prepara para enfrentar lo que podría convertirse en uno de los eventos meteorológicos más graves de su historia reciente, el huracán Melissa. Escaló a la categoría 5, según registró la NASA, y se aproxima con vientos, lluvias intensas y marejadas que amenazan a comunidades costeras y montañosas por igual.
Huracán Melissa hoy: qué significa que sea categoría 5 y cuáles son los riesgos
Se trata de una de las tormentas más fuertes con vientos extremos. Cuál es su riesgo de impacto directo en Jamaica durante las próximas horas.
-
Arrancaron los cuartos de final del Torneo Apertura 2026: Belgrano y Argentinos Juniors son los primeros semifinalistas
-
Argentinos Juniors se impuso ante Huracán y avanzó a semifinales del Torneo Apertura
Autoridades temen por la llegada del huracán Melissa
La trayectoria del fenómeno atraviesa aguas cálidas del Caribe, lo cual alimenta su intensidad y extiende el tiempo de exposición para la isla, incrementando los riesgos de inundación, deslizamientos y daños estructurales. En este contexto, las autoridades han emitido alertas máximas y concentrado esfuerzos para evacuar zonas vulnerables.
Trayectoria del huracán Melissa
Según los últimos informes del Centro Nacional de Huracanes (NHC), Melissa se encuentra al sur-suroeste de Jamaica y se dirige hacia la isla, con su entrada estimada para la mañana del martes, mientras avanza hacia el sureste de Cuba y las Bahamas.
Su movimiento es lento, alrededor de 5 a 8 km/h, lo que agrava el peligro porque mantiene durante más tiempo su influencia sobre las zonas que atravesará.
Qué significa que un huracán sea categoría 5
La escala Escala Saffir Simpson define a los huracanes categoría 5 como aquellos con vientos sostenidos de al menos 252 km/h. En esta categoría, los daños tienden a ser “catastróficos” y se pueden producir fallos totales en techos, desplazamiento completo de estructuras ligeras, árboles arrancados, postes derribados y un riesgo extremo de marejada ciclónica que puede invadir kilómetros de costa.
En el caso de Melissa, este nivel de intensidad activa todos los sistemas de alerta para proteger vidas y bienes.
Medidas de prevención en Jamaica ante el huracán Melissa
Las autoridades de Jamaica han ordenado la apertura de refugios, el cierre de aeropuertos y la evacuación preventiva de comunidades costeras y de montaña. Se recomienda a la población asegurar ventanas y techos, asegurar documentos, agua potable y alimentos no perecederos, y mantenerse lejos de la costa ante el riesgo de oleaje y marejada.
Además, en zonas montañosas se advierte un elevado riesgo de deslizamientos por lluvias acumuladas. Es vital que la población realice la evacuación sin demora y siga las alertas oficiales.




